В Бразилии обнаружен вирус с неизвестными науке генами
Ученые обнаружили в Бразилии новый вирус, ДНК которого на 90 процентов состоит из неизвестных науке генов. Результаты открытия опубликованы на сайте препринтов bioRxiv.
Вирус выявлен в искусственном озере Пампулья в бразильском городе Белу-Оризонти. Его не очень сложный геном практически полностью состоит из неизвестных науке генов. Авторы назвали новый вирус Yaravirus brasiliensis в честь водяной нимфы Яры из мифологии народов Южной Америки.
Ученые предполагают, что они столкнулись с первым случаем неизвестной изолированной группы вирусов или отдаленным видом гигантского вируса, который эволюционировал в уменьшенную форму.
Открытые лишь в XXI веке гигантские вирусы достигают размеров, сравнимых с бактериальной клеткой. Свое название они получили из-за их огромных капсидов — белковых оболочек, которые инкапсулируют вирионы — вирусные частицы. Они имеют и ДНК соответствующей длины, которая превышает 200 тысяч пар оснований и часто содержит так называемые орфанные, или сиротские гены (ORFan), не встречающиеся больше ни у одной группы организмов.
Сложные геномы дают возможность гигантским вирусам синтезировать белки и, следовательно, выполнять репарацию, репликацию, транскрипцию и трансляцию ДНК. До их открытия считалось, что вирусы не обладают такими способностями, так как являются инертными существами, способными только заражать своих хозяев. Все известные гигантские вирусы являются паразитами амеб.
И хотя размер нового микроорганизма существенно меньше, чем у гигантских вирусов, — около 80 нанометров — он также паразитирует на амебах, а его геном практически полностью орфанный: 68 его генов (больше 90 процентов) не находят аналогов ни у одного известного организма и лишь шесть отдалено схожи с известными науке.
"Это связано с тем, что вирус представляет собой новую линию амебного вируса с удивительным происхождением и филогенией", — приводятся в пресс-релизе слова одного из руководителей исследования Йонатаса Абрахао (Jônatas Abrahão) из Федерального университета Минас-Жерайс в Бразилии.
Ученые проанализировали более восьми с половиной тысяч метагеномов, но так и не нашли среди них вирусы, родственные новому микроорганизму. Как и прочие вирусы этой группы, он представлен двухцепочечной ДНК, длина которой составляет 44 900 пар оснований и содержит 74 кодирующих фрагмента.
"Используя стандартные протоколы, наш самый первый генетический анализ не смог обнаружить какие-либо узнаваемые последовательности капсида или другие классические вирусные гены в яравирусе", — объясняют Йонатас Абрахао и второй руководитель исследования Бернар Ла Скола (Bernard La Scola) из Университета Экс-Марсель во Франции.
По официальным метагеномным протоколам, яравирус даже нельзя признать вирусным агентом, потому что он не имеет с ними явного сходства. Ученые пока не могут сказать, чем же он является на самом деле — представителем совершенно новой группы или потомком гигантского вируса, который каким-то образом эволюционировал в уменьшенную форму.
"Количество неизвестных белков, составляющих частицы яравируса, отражает изменчивость, существующую в вирусном мире, и то, какое количество новых вирусных геномов еще предстоит открыть", — заключают авторы.Источник: РИА "Новости"
Вирус выявлен в искусственном озере Пампулья в бразильском городе Белу-Оризонти. Его не очень сложный геном практически полностью состоит из неизвестных науке генов. Авторы назвали новый вирус Yaravirus brasiliensis в честь водяной нимфы Яры из мифологии народов Южной Америки.
Ученые предполагают, что они столкнулись с первым случаем неизвестной изолированной группы вирусов или отдаленным видом гигантского вируса, который эволюционировал в уменьшенную форму.
Открытые лишь в XXI веке гигантские вирусы достигают размеров, сравнимых с бактериальной клеткой. Свое название они получили из-за их огромных капсидов — белковых оболочек, которые инкапсулируют вирионы — вирусные частицы. Они имеют и ДНК соответствующей длины, которая превышает 200 тысяч пар оснований и часто содержит так называемые орфанные, или сиротские гены (ORFan), не встречающиеся больше ни у одной группы организмов.
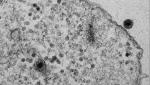
Яравирус Yaravirus brasiliensis в клетке амебы
Сложные геномы дают возможность гигантским вирусам синтезировать белки и, следовательно, выполнять репарацию, репликацию, транскрипцию и трансляцию ДНК. До их открытия считалось, что вирусы не обладают такими способностями, так как являются инертными существами, способными только заражать своих хозяев. Все известные гигантские вирусы являются паразитами амеб.
И хотя размер нового микроорганизма существенно меньше, чем у гигантских вирусов, — около 80 нанометров — он также паразитирует на амебах, а его геном практически полностью орфанный: 68 его генов (больше 90 процентов) не находят аналогов ни у одного известного организма и лишь шесть отдалено схожи с известными науке.
"Это связано с тем, что вирус представляет собой новую линию амебного вируса с удивительным происхождением и филогенией", — приводятся в пресс-релизе слова одного из руководителей исследования Йонатаса Абрахао (Jônatas Abrahão) из Федерального университета Минас-Жерайс в Бразилии.
Ученые проанализировали более восьми с половиной тысяч метагеномов, но так и не нашли среди них вирусы, родственные новому микроорганизму. Как и прочие вирусы этой группы, он представлен двухцепочечной ДНК, длина которой составляет 44 900 пар оснований и содержит 74 кодирующих фрагмента.
"Используя стандартные протоколы, наш самый первый генетический анализ не смог обнаружить какие-либо узнаваемые последовательности капсида или другие классические вирусные гены в яравирусе", — объясняют Йонатас Абрахао и второй руководитель исследования Бернар Ла Скола (Bernard La Scola) из Университета Экс-Марсель во Франции.
По официальным метагеномным протоколам, яравирус даже нельзя признать вирусным агентом, потому что он не имеет с ними явного сходства. Ученые пока не могут сказать, чем же он является на самом деле — представителем совершенно новой группы или потомком гигантского вируса, который каким-то образом эволюционировал в уменьшенную форму.
"Количество неизвестных белков, составляющих частицы яравируса, отражает изменчивость, существующую в вирусном мире, и то, какое количество новых вирусных геномов еще предстоит открыть", — заключают авторы.Источник: РИА "Новости"
Опубликовано 11 февраля 2020
Комментариев 0 | Прочтений 1377
Ещё по теме...
Добавить комментарий
Из новостей
Периодические издания
Информационная рассылка:







