На Колыме обнаружен «монстр», проспавший в вечной мерзлоте 30 тысяч лет
Ученые собираются разморозить и вернуть его к жизни...
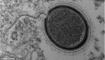
На Колыме на глубине 30 метров обнаружен огромный вирус - в 600 нанометров в поперечнике. Настоящий монстр - больше половины микрометра. Его видно в оптический микроскоп. Для сравнения: размер "нормальных" вирусов около 10 нанометров.
Гигант находился в вечной мерзлоте - спал там - около 30 тысяч лет. Был недавно извлечен в ходе экспедиции французских ученых из Национального центра научных исследований (Le Centre national de la recherche scientifique). И назван Mollivirus sibericum , что в переводе с латыни означает «мягкий вирус из Сибири». Теперь французы собираются его разморозить, оживить и размножить, поселив "мягкого" монстра в амебу. Цель эксперимента, о котором ученые сообщили в специальном коммюнике - изучить гигантский вирус и определить представляет ли он опасность для человека или животных.
Руководит исследованиями профессор Жан-Мишель Клаври (Jean-Michel Claverie) из Университета Экс-Марсель (Aix-Marseille University in France). И нынешняя его находка не первая. В 2011 году в морской воде у побережья Чили и в одном из пресноводный прудов в Австралии профессору попался еще более крупный вирус размером в 1000 нанометров. Его назвали Пандора-вирус (Pandoravirus).
Откуда в микромире берутся гиганты ученые пока не знают. И удивляются обилию генов, из которых те состоят. К примеру, у вируса гриппа всего 8 генов, у Мягкого вируса из Сибири - 500, а у Пандоравируса - аж 2500. Известных среди них - всего 6 процентов. В связи с чем, Клаври предполагает, что гигантские вирусы представляют собой какую-то новую форму жизни. Возможно, инопланетную, смело развивают идею профессора некоторые нетрадиционно мыслящие исследователи. По одной из гипотез, столь странный для нашей планеты геном вирусы приобрели за счет ДНК, пораженных им внеземных организмов. Скажем, марсианских.
И Пандора, и Мягкий вирус из Сибири, как их мелкие земные собратья, не самостоятельные существа. Размножается только в клетках хозяина, выедая их и копируя себя. Пандора, к примеру, поражает глубоководных амеб. И если верить Клаври, больше ни на кого пока не нападает.
Может быть, и "мягкий" монстр окажется столь же безобидным. Но то, что он спал в вечной мерзлоте и сохранил жизнеспособность, отнюдь не радует. Ведь во льду и холоде могут найтись и какие-нибудь другие - очень злые "гости из прошлого". Вот проснутся и нападут. Ведь вечная мерзлота начала таять в результате глобального потепления и освоения прежде необитаемых районов. Таять и освобождать древних "пленников", для которых нынешняя окружающая среда может оказаться на редкость питательной.
Источник: Комсомольская Правда
На Колыме на глубине 30 метров обнаружен огромный вирус - в 600 нанометров в поперечнике. Настоящий монстр - больше половины микрометра. Его видно в оптический микроскоп. Для сравнения: размер "нормальных" вирусов около 10 нанометров.
Гигант находился в вечной мерзлоте - спал там - около 30 тысяч лет. Был недавно извлечен в ходе экспедиции французских ученых из Национального центра научных исследований (Le Centre national de la recherche scientifique). И назван Mollivirus sibericum , что в переводе с латыни означает «мягкий вирус из Сибири». Теперь французы собираются его разморозить, оживить и размножить, поселив "мягкого" монстра в амебу. Цель эксперимента, о котором ученые сообщили в специальном коммюнике - изучить гигантский вирус и определить представляет ли он опасность для человека или животных.
Сибирский вирус виден в оптический микроскоп
Сибирский вирус в разном увеличении
Руководит исследованиями профессор Жан-Мишель Клаври (Jean-Michel Claverie) из Университета Экс-Марсель (Aix-Marseille University in France). И нынешняя его находка не первая. В 2011 году в морской воде у побережья Чили и в одном из пресноводный прудов в Австралии профессору попался еще более крупный вирус размером в 1000 нанометров. Его назвали Пандора-вирус (Pandoravirus).
Откуда в микромире берутся гиганты ученые пока не знают. И удивляются обилию генов, из которых те состоят. К примеру, у вируса гриппа всего 8 генов, у Мягкого вируса из Сибири - 500, а у Пандоравируса - аж 2500. Известных среди них - всего 6 процентов. В связи с чем, Клаври предполагает, что гигантские вирусы представляют собой какую-то новую форму жизни. Возможно, инопланетную, смело развивают идею профессора некоторые нетрадиционно мыслящие исследователи. По одной из гипотез, столь странный для нашей планеты геном вирусы приобрели за счет ДНК, пораженных им внеземных организмов. Скажем, марсианских.
Пандоравирус почти в два раза больше своего древнего сибирского собрата
И Пандора, и Мягкий вирус из Сибири, как их мелкие земные собратья, не самостоятельные существа. Размножается только в клетках хозяина, выедая их и копируя себя. Пандора, к примеру, поражает глубоководных амеб. И если верить Клаври, больше ни на кого пока не нападает.
Может быть, и "мягкий" монстр окажется столь же безобидным. Но то, что он спал в вечной мерзлоте и сохранил жизнеспособность, отнюдь не радует. Ведь во льду и холоде могут найтись и какие-нибудь другие - очень злые "гости из прошлого". Вот проснутся и нападут. Ведь вечная мерзлота начала таять в результате глобального потепления и освоения прежде необитаемых районов. Таять и освобождать древних "пленников", для которых нынешняя окружающая среда может оказаться на редкость питательной.
Место в России, где был обнаружен вирус-монстр
Опубликовано 14 сентября 2015
Комментариев 0 | Прочтений 4818
Ещё по теме...
Добавить комментарий
Из новостей
Периодические издания
Информационная рассылка:










